芒特弗农之路正在一些国家机场附近的薄层色谱
变化来的弗农山庄小道,沿着华盛顿国家机场。同时跟踪用户将不得不使用一个临时道路施工,测试将会在未来更加安全,更直。
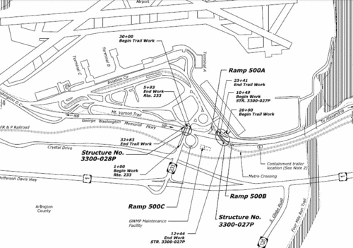
路有三个主要的事情发生:它是远离的乔治·华盛顿百汇下经过233号公路大桥,这是得到一个新的地铁桥下隔墙有黄色和蓝色线到机场,在一棵大树,部队快速S曲线。
”项目的目标是提高游客安全,同时保证我们沿着小道,保护自然资源”亚伦LaRocca说,参谋长的NPS GW百汇,在完成计划工作,定于在2016年的春天。
追踪工作的一部分更大的努力重建的一些国家机场入口。
跟踪用户应该有弯路
人们步行和自行车必须绕道到临时覆盖物通路在施工期间。233号公路大桥下的绕道了本周将用于两到三周,LaRocca说。
自行车覆盖物是具有挑战性的,很多骑自行车的人拆下并通过绕道走他们的自行车在周三早上上班。临时道路也比测试更窄,这将创建一个阻塞点骑自行车和行人在繁忙的时期。
“当考虑建设项目,公园努力最小化影响游客,“LaRocca说。“不幸的是,很少有大的弯路,因为区域空间与汽车和拥挤的交通。(GW百汇)不使用草或铺弯路,因为他们创造长期影响短期关闭。在过去,使用覆盖物弯路沿着测试成功。”
地铁周围的绕道桥可能会最繁重的三个骑自行车的人。跟踪用户将不得不爬覆盖物路径国家机场的出口道路GW百汇。
跟踪用户将需要过马路,骑自行车的人将不得不跳路边两侧的街道。
他们将不得不下狭窄的人行道上测试。
地铁周围的绕道桥将用于三个月,LaRocca说。该机构还没有决定绕道何时开始,他补充道。
伸直芒特弗农的绕道小路过去的大树南端的项目区域将只用于两天,LaRocca说。
这是要做的更好
芒特弗农之路的流行和关键地区的道路网络。尽管它的受欢迎程度,设施可以追溯到1970年代,包括许多盲人或困难,包括周围的一棵大树南端附近的国际机场——这可以证明困难的骑自行车的人。
此外,小道不包括骑车和步行,慢跑者之间的分离是常见的在世界各地新的轨迹。
还有很多其他的方法让弗农山小道更好。想法包括矫直Daingerfield岛以北的部分一丛树木周围的轨迹波动和区分骑自行车与行人通过声音粗哑的地方有许多交通堵塞。
然而,所有的这些想法花钱尚未实现在地区或联邦资金计划。
它可能很小,但NPS的工作是在国家机场的南端是伟大的测试。








