从那里到无电梯的:范·洛克沃尔格林
当我们最后看着拟议的范内斯沃尔格林在康涅狄格和Veazey,它是一个城市的郊区商店拍下很多地铁站旁边。建筑是集远从康涅狄格大道,在前面停车,抑制在康涅狄格和Veazey削减,一个大独立的标志在拐角处,一个可容纳汽车餐厅的东西。
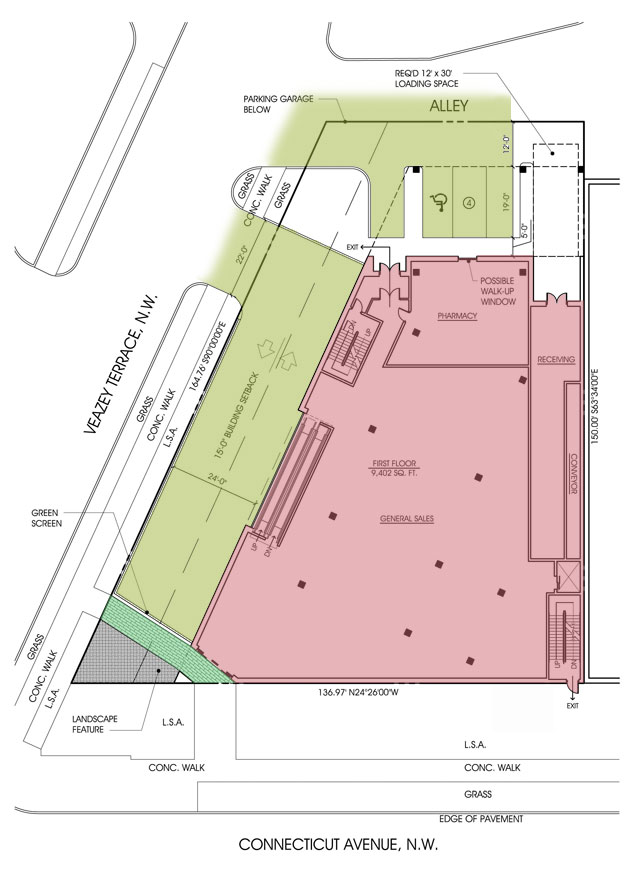
DDOT和社区成员反对此计划是不恰当的,尤其是一个网站对地铁附近。作为回应,沃尔格林完全重做这项提议变成属于城市街角。而不是选址建设后的很多,现在涉及到房地产行康涅狄格大道。几个停车位在后方,小巷,剩下的地下。现在只有三个地上空间而不是七在最初的计划。
上面的图表显示了原始的提议(左)(右)和当前的计划。用红色阴影区域建筑的一部分,黄色区域所使用的车辆,行人专用人行道和绿色。正如你所看到的,旧的计划行人不得不穿过停车场与停车,车辆和潜在的冲突。现在,直接从人行道上行人可以进入商店。
的作法,而是计划显示在后面“可能无电梯的窗口”。让司机拉从小巷,处方,车程。如果商店意图对司机避免地下停车场和基础设施建设进入商店,这是一个更好的方法。(他们仍然可能会更好,如果他们实际上迫使人们进入商店,可能看到其他物品购买,但这应该是自己的商业决策。)
这种设计最初是一个巨大的改进,但它永远不会成为一个伟大的都市生活的典范。和许多药店一样,它有几个窗子附近的自动扶梯,前门,可能无电梯的窗口。与CVS药店像windows但商店覆盖,建筑从一开始就不会有他们。这意味着它会更昂贵的另一个商店重用这个空间在未来更window-oriented店面零售。(根据建筑设计,甚至可能没有结构性加固。)
目前,设计不包含任何自行车停车场。许多担忧之一的当地的国民大会,在上周的报道电流(文章,延续)。非洲国民大会的决议还引发了担忧交通,运输卡车,从机械设备噪声,缺少植被,和一个特定的树,屏幕上的加油站目前网站从附近的公寓。
开发人员的交通研究应该回答关于交通问题的影响,虽然我看不见它比一个加油站。邻居要沃尔格林保存现有的树,在网站上添加更多的植被,将机械设备来减少噪音。根据当前,非国大要进一步在这些问题上让步之前,将支持方差沃尔格林需要建立更urban-friendly设计。
新的设计大1/3(20188万平方英尺的零售空间与15071年原件),如果我现在计数,有4个停车位(31日和27)。大项目他们如果授予的方差很多覆盖要求,这个项目应该为沃尔格林以及更好的社区。似乎不合理要求Walgreens包括一些自行车停车场,绿化,和地址机械噪声作为交换。


